Máte minútu?

Krátky dotazník nám pomôže vylepšiť web pre všetkých čitateľov. Váš názor je pre nás dôležitý.

Spustiť dotazník

Jamajku zasiahol jeden z najsilnejších hurikánov vôbec

Televízne noviny Markíza, správy pre celé Slovensko.

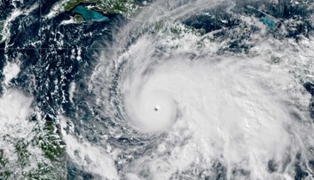
Jamajku podvečer plnou silou zasiahol hurikán Melissa sprevádzaný silným vetrom a prívalovými dažďami. Podľa agentúry AFP ide o jeden z najsilnejších zaznamenaných hurikánov a vôbec najsilnejší, aký kedy postihol túto ostrovnú krajinu v Karibiku, kde hrozia katastrofálne povodne.

Hurikán má už na svojom konte najmenej sedem úmrtí: tri na Jamajke ešte pred svojím príchodom, tri na Haiti a jedno v Dominikánskej republike.

Americké Národné stredisko pre hurikány (NHC) uviedlo, že na Jamajke možno očakávať ničivé záplavy, zosuvy pôdy a silný vietor, ktoré spôsobia značné škody na infraštruktúre, výpadky elektriny a komunikácií. NHC zároveň varovalo obyvateľov pobrežia, že počas dňa by sa mohli vyskytnúť nebezpečné vlny.

Prečítajte si tiež:

Aj jamajský premiér Andrew Holness varoval pred rizikom veľkých škôd najmä na západe krajiny. „Nemyslím si, že by (náporu vetra a povodniam) odolal jediný objekt infraštruktúry v tomto regióne,“ povedal v rozhovore pre televíziu CNN a vyzval obyvateľov, aby sa z najviac ohrozených oblastí evakuovali. Úrady uzavreli prístavy i medzinárodné letisko.

Červený kríž v utorok ráno upozornil, že prírodnou katastrofou by na Jamajke „mohlo by byť postihnutých najmenej 1,5 milióna ľudí“.

NHC odporučilo obozretnosť aj na Haiti a v Dominikánskej republike, kde sa do polovice tohto týždňa očakávajú tiež prívalové povodne a rozsiahle zosuvy pôdy. Ohrozená je takisto Kuba, ako aj Bahamy a ostrovy Turks a Caicos - zámorské územie Spojeného kráľovstva -, kde NHC predpokladá prudké dažde a na mori veľké vlny. Bermudy by mala Melissa zasiahnuť koncom tohto týždňa.

Melissa je hurikánom na piatom - najvyššom - stupni na Saffir-Simpsonovej stupnici.  

Práve sa číta

Voyo

Sledujte Televízne noviny vo full HD a bez reklám na Voyo

NAJČÍTANEJŠIE ČLÁNKY

Sledujte kanál spravodajstva Markízy

K téme Prírodné javy

Dôležité udalosti